LIZ NUNES 561.351.4529 | CHIP ARMSTRONG 561.371.3787

0 Drexel Road, Land O Lakes, FL 34639 Photo
0 Drexel Road, Land O Lakes, FL 34639 Photo
0 Drexel Road, Land O Lakes, FL 34639 Photo
0 Drexel Road, Land O Lakes, FL 34639 Photo
0 Drexel Road, Land O Lakes, FL 34639 Photo
0 Drexel Road, Land O Lakes, FL 34639 Photo
0 Drexel Road, Land O Lakes, FL 34639 Photo
0 Drexel Road, Land O Lakes, FL 34639 Photo

4 Total Photos [Click to View All]

0 Drexel Road Land O Lakes, FL 34639
$3,250,000
  • Total Square Feet
    57,000
  • Lot Size
    6.71 acre(s)

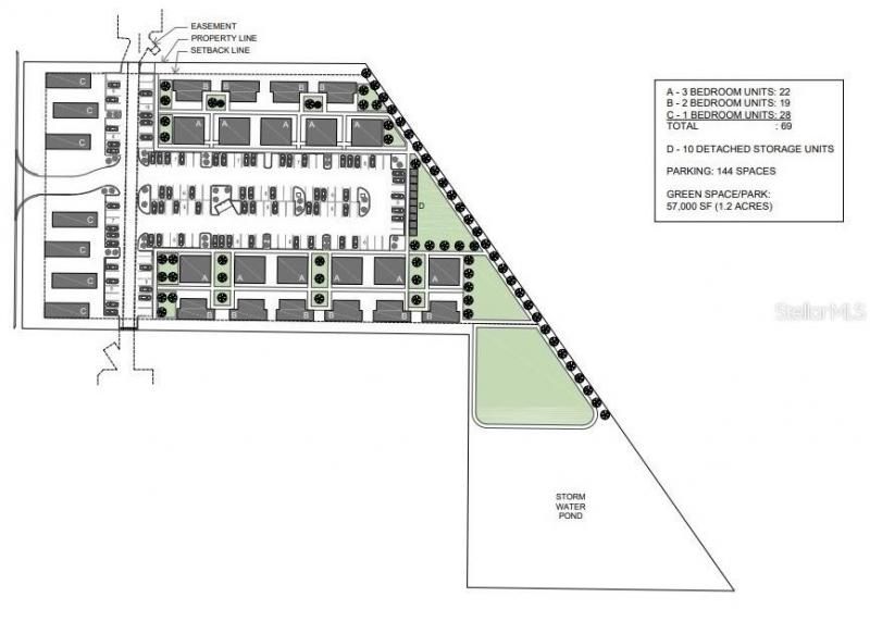
Pre-Construction. To be built. Permitted and ready. Welcome to this prime vacant land parcel ready for infill on this 6.7 acre lot, with ZONING: MFR2 (18 units each acre); FLOOD ZONE X. Surrounded by development, what could be stylish and beautifully modern 69-unit Condominium on Drexel Rd. This proposed 2 story Multi-Family product will be built around luscious greenspaces. Just minutes from restaurants, retail and schools. Conveniently located in the heart of Land O' Lakes, near the intersecti...

View More

Property Summary

MLS Number: TB8312431
Days on Market: 552
Subdivision:
County: Pasco
Bedrooms: 0
Total Square Feet: 57,000
New Constuction: No
Construction: Wood Siding
Waterfront: No
Property Type: Commercial -
Cooling: Zoned
Lot Size: 6.71 Acres
Road Frontage: 360
Taxes: $4,838
Year Built: 2025

Property Details

Days on Site: 552
Directions: Land O Lakes Blvd North; left on Lake Patience, right of Drexel, property on right.
Exterior: Wood Siding
Flood Zone Code: X
Foundation: Slab
Home Warranty Y/N: No
Lot Dimensions: 6.71
Ownership: Corporation
Property Attached Y/N: No
Property Sub-Type: Mixed Use
Showing Instructions: Call Listing Agent
Special Sale Provisions: None
Water Access Y/N: No
Zoning: MF2

Neighborhood Information

Neighborhood Map

Neighborhood Hero

Neighborhood Highlights

Neighborhood Characteristics

Neighborhood Market Trend

Neighborhood Schools

Courtesy of

Agency Name: RUSSELL ADAMS REALTY INC
Agency Contact: 813-949-3600
Agent Name: Cody Adams

agent picture

Presented by

Agent Name: The Legacy Group
Agent Phone: 561.282.5207
Agency Title: The Keyes Company
Request Info

IDX logo

The Legacy Group
keyes.com
Agent Cell:
Office Phone:
561.282.5207

Mortgage Calculator

%
years/fixed
yearly
yearly (est.)

Estimated Payment

$ 17,309.04 Principal & Interest $15,957.95 Property Tax $403.17 Homeowner's Insurance $947.92
Mortgage Logo

Login to My Keyes Account

Pixel